Ver Tour Virtual
- $18,000,000 En Venta
- 5,000 m² de terreno
Detalles
- Tipo: Terreno industrial
- ID: EB-UP8628
- Fondo del terreno: 100 m
- Frente del terreno: 50 m
Descripción
Parque Industrial San Javier
Etapa II.
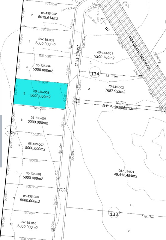
Disponible 1 lotes
Vendidos 18 lotes.
19 lotes totales.
Disponibles:
Lote 5
5000 M2
50 frente
100 m2 fondo.
Precios pueden cambiar sin previo aviso.
Precio de venta:$3,600/m²
Precios pueden cambiar sin previo aviso.
Precio del mantenimiento $1.30 por m2 del lote + IVA.
Zona de mayor crecimiento industrial en Apodaca/Pesquería
Futura conexión al Anillo Periférico de Monterrey.
Alta concentración de mano de obra especializada en la zona.
Zonas habitacionales a 5 minutos del proyecto.
Transporte público sobre Carretera a Dulces Nombres.
Empresas establecidas en el proyecto: - The TORO Company - DM Mexicana.
Empresas establecidas en la zona:
- POLARIS - Mercado Libre CEDIS Apodaca.
INFRAESTRUCTURA EN PARQUE INDUSTRIAL SAN JAVIER:
• Infraestructura de Agua Potable de 12” de diámetro.
• Infraestructura de Drenaje Sanitario de 24” de diámetro.
• Red de Agua Potable de 4”, 6”, 8”, 10” de diámetro.
• Red de Drenaje Industrial (SADM) en 8” y 10” de diámetro.
• Red Eléctrica Aérea en Media Tension (CFE).
• Red Principal de Gas Natural en alta presión en 6” en acero.
• Red Secundaria de Gas Natural en 4” y 6” polipropileno.
• Luminarias Tipo LED en alumbrado público.
• Red de Fibra Óptica Aérea.
• Pavimento de vialidades internas con concreto asfáltico de 47 cm
(asfalto: 7cm, base: 20cm y subbase: 20cm).
• Cordones de concreto.
• Caseta de vigilancia y control de acceso.
INFRAESTRUCTURA
• Barda Perimetral en Límites del Parque Industrial.
Etapa II.
Disponible 1 lotes
Vendidos 18 lotes.
19 lotes totales.
Disponibles:
Lote 5
5000 M2
50 frente
100 m2 fondo.
Precios pueden cambiar sin previo aviso.
Precio de venta:$3,600/m²
Precios pueden cambiar sin previo aviso.
Precio del mantenimiento $1.30 por m2 del lote + IVA.
Zona de mayor crecimiento industrial en Apodaca/Pesquería
Futura conexión al Anillo Periférico de Monterrey.
Alta concentración de mano de obra especializada en la zona.
Zonas habitacionales a 5 minutos del proyecto.
Transporte público sobre Carretera a Dulces Nombres.
Empresas establecidas en el proyecto: - The TORO Company - DM Mexicana.
Empresas establecidas en la zona:
- POLARIS - Mercado Libre CEDIS Apodaca.
INFRAESTRUCTURA EN PARQUE INDUSTRIAL SAN JAVIER:
• Infraestructura de Agua Potable de 12” de diámetro.
• Infraestructura de Drenaje Sanitario de 24” de diámetro.
• Red de Agua Potable de 4”, 6”, 8”, 10” de diámetro.
• Red de Drenaje Industrial (SADM) en 8” y 10” de diámetro.
• Red Eléctrica Aérea en Media Tension (CFE).
• Red Principal de Gas Natural en alta presión en 6” en acero.
• Red Secundaria de Gas Natural en 4” y 6” polipropileno.
• Luminarias Tipo LED en alumbrado público.
• Red de Fibra Óptica Aérea.
• Pavimento de vialidades internas con concreto asfáltico de 47 cm
(asfalto: 7cm, base: 20cm y subbase: 20cm).
• Cordones de concreto.
• Caseta de vigilancia y control de acceso.
INFRAESTRUCTURA
• Barda Perimetral en Límites del Parque Industrial.
Amenidades
- Seguridad 24 horas
Ubicación












