MAC INMOBILIARIA

  • 5569691589
  • MAC.easybroker.com

Terreno en Venta (Uso Comercial) / Fuentes del Pedregal - Tlalpan

Fuentes del Pedregal, Tlalpan

$80,100,800 For Sale

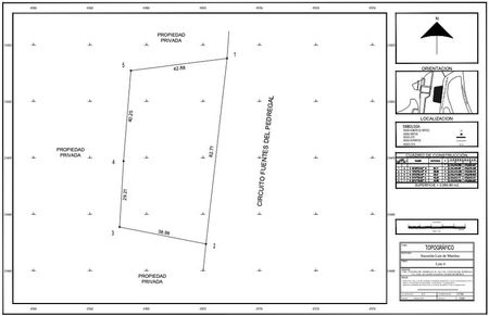
  • 3,080.8 m² Lot Size
  • 42.88 m Lot Length
  • 82.71 m Lot Width
  • New Age
  • EB-TC1829 ID
Description

Terreno plano, polígono irregular con un solo frente sobre Circuito Fuentes del Pedregal.

Fuentes Del Pedregal se caracteriza por tener relativamente pocos establecimientos comerciales, y la mayoría de ellos operan en la actividad Comercio minorista, Según estimaciones de MarketDataMéxico, Fuentes Del Pedregal tiene un output económico estimado en MXN $570 millones anuales, de los cuales MXN $310 millones corresponde a ingresos generados por los hogares y unos MXN $260 millones a ingresos de los 38 establecimientos que allí operan.

Adicionalmente, se estima que en la colonia laboran 500 personas, lo que eleva el total de residentes y trabajadores a 3,000.

Superficie: 3,080.80m2
Frente: 82.71m

Uso de suelo: E/3/50
50% de superficie de área libre 1,540.40m2, 50% superficie de desplante 1,540.40m2, superficie máxima de construcción de 4,621.20m2 en 3 niveles.

Ideal para plaza comercial con negocios de comercio al pormenor, servicios técnicos, profesionales, financieros, de transporte y telecomunicaciones, entre otros.

Legalmente saludable, listo para escriturar.

*Precio no incluye impuestos y gasto de escrituración.*

Informes y citas: Javier Martínez / 5585674786

MAC INMOBILIARIA

  • 5569691589
  • MAC.easybroker.com

MAC INMOBILIARIA

  • 5569691589
  • MAC.easybroker.com