MAC INMOBILIARIA

  • 5569691589
  • MAC.easybroker.com

EXCELENTE TERRENO EN CHELEM

Chelem, Progreso

$11,000,000 For Sale

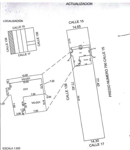
  • 1,120 m² Lot Size
  • 77.4 m Lot Length
  • 14.65 m Lot Width
  • EB-TF1839 ID
Description

OPORTUNIDAD ÚNICA

Excelente terreno con doble acceso y frente directo al mar.

Dimensiones del Terreno:

Superficie total: aprox. 1,115.00 m²
Frente al mar (norte – Calle 15): 14.65 m
Fondo (sur – Calle 17): 14.30 m
Largo promedio: 77.40 m
Forma: Regular con paso lateral en "L" que conecta a construcciones secundarias.

Construcciones Existentes (según plano):

2 edificaciones tipo cabaña o casa:
Marcadas como “VO.CO1” y “CO1”
Ubicadas en secciones independientes del terreno
Posibilidad de remodelación o demolición para nuevo desarrollo

Accesos:

Acceso principal desde Calle 15 (frente al mar)
Acceso trasero desde Calle 17
Entrada lateral desde Calle 138

Usos Potenciales:

Desarrollo de casa de lujo frente al mar
Proyecto de inversión: villas, Airbnb, hostal boutique
Excelente para segunda residencia con potencial de rentabilidad

Documentación:

Plano catastral actualizado
Título de propiedad en regla
Listo para escrituración

*Los precios están sujetos a cambios sin previo aviso a consideración del propietario

Amenities
  • Beach Access
  • Street parking
  • Beachfront

MAC INMOBILIARIA

  • 5569691589
  • MAC.easybroker.com

MAC INMOBILIARIA

  • 5569691589
  • MAC.easybroker.com